Luxury Townhome Site Plan

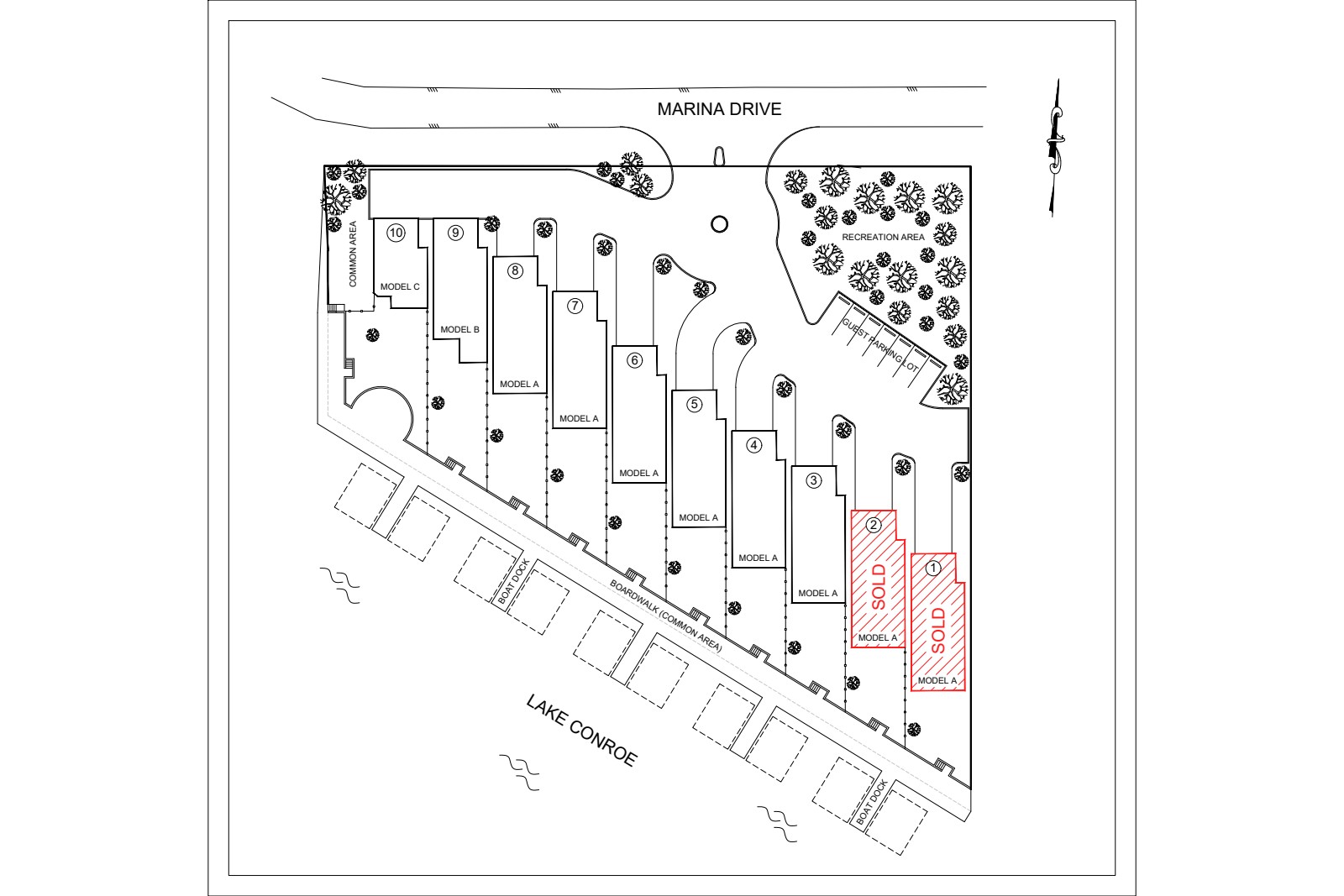
Explore the layout of Golden Coast Estates luxury lakefront townhomes at 15303 Marina Dr, Montgomery, TX. Discover 8 available waterfront units with private boat docks and boardwalk access along Lake Conroe.

Lake Conroe Waterfront Community Layout

All luxury townhome units feature direct access to Lake Conroe with stunning water views and private boat dock access for the ultimate waterfront living experience.
Enjoy the scenic boardwalk, recreation area, and guest parking available to all residents of this exclusive lakefront community.
Convenient access from Marina Drive in Montgomery, TX with ample parking and easy navigation throughout the luxury townhome development.

Available Luxury Townhome Units

Secure your Lake Conroe waterfront home today. Only 8 luxury townhomes remain available in this exclusive lakefront community.

Model A
Model A
Model A

Model A

Model A
Model A
Model A

Model A

Model B

Model C

8 waterfront townhome units available • 2 units sold

Contact us today to reserve your preferred luxury townhome unit at exclusive pre-construction pricing in Montgomery, TX. Learn more about pricing, availability, and financing options for these Lake Conroe waterfront homes.

Lakefront Community Features

Golden Coast Estates offers premium amenities and features designed for luxury waterfront living on Lake Conroe.

10

Luxury Townhome Units

Exclusive lakefront residences on Lake Conroe

10

Private Boat Docks

Dedicated boat dock for each waterfront unit

1

Recreation Area

Community gathering space for residents

1

Scenic Boardwalk

Waterfront walkway connecting all townhomes

7

Guest Parking

7 dedicated spots for visitor parking

 

3

Townhome Model Types

A, B, and C floor plans available